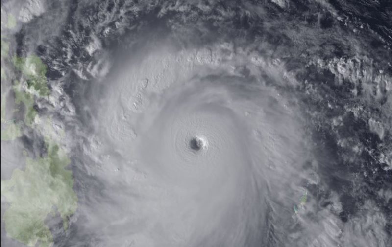
Miliona njerëzve në Filipine u është urdhëruar sot të përgatiten për një nga tajfunet më të fuqishëm që e kanë goditur këtë vend.
Autoritetet paralajmëruan për valë të mundshme të mëdha dhe erëra shkatërruese.
Super tajfuni Haima do të godet komunitete në veri të vendit rreth orës 23 sipas kohës lokale me erëra me fuqi identike si ato nga viti 2013, kur gjatë super tajfunit Haijan e humbën jetën më shumë se 7.300 njerëz.
“Presim përmbytje, rrëshqitje të tokës dhe valë të mëdha mbi pesë metra në bregdet. Njerëzit në këto rajone janë në rrezik. Duhet të gjejnë terren të sigurt”, deklaroi drejtori i Qendrës për informim dhe koordinim me katastrofat natyrore.
Pritet që Haima të godas territor në gjatësi prej 800 km me më shumë se 10 milionë njerëz në pjesët veriore nga ishulli më i madh filipinas Luzion. Haima u afrohet Filipineve me erëra me shpejtësi prej 225 km/orë.








































